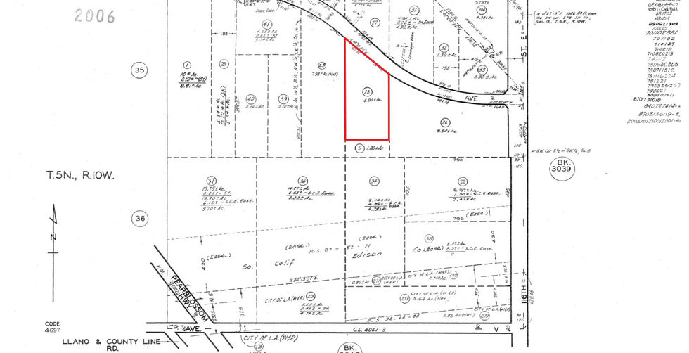
APN# 3046-034-028 Hampel Avenue CA, Littlerock, 93543
Hampel Avenue, Littlerock, CA 93543, USA
Active
$69,000
Property Description
Directions: This parcel is located on Hampel Ave in Littlerock, CA. For detailed directions copy and paste the provided coordinates into any map.
Coordinates: 34.519306, -117.926528
Marketing Remarks: APN: 3046-034-028 Coordinates: 34.519306, -117.926528 4.94 Acres for sale in LA County. This parcel is located on Hampel Ave in
Littlerock, CA. The property has frontage onto a paved street, Hampel Ave, and is near other homes. This is an excellent location to build a home. The
Parcel across the street is also for sale APN# 3046-034-028.
Agent Remarks: Buyers are advised to conduct their own investigations and to satisfy themselves as to the current condition of the property, as well as to
check with the appropriate City or County as to Zoning, permitted uses, legal access, size of parcel and buildable space, and check if there are any available
utilities/services in the area; as well as hire and, conduct a survey to acquire true Location of Parcel. Property is being sold in its As-Is Current Condition,
Buyers are also advised to check with the Department Fish and Wildlife as to any protected Plants Trees or Species. Buyer to verify all information on MLS,
Property lines depicted on Photos are just Estimated Buyer to verify.
Contact Agent
Ruben Del Rio
661-998-9460
Property Details
Property Type
Vacant Land
Size
Property Location
Hampel Avenue, Littlerock, CA 93543, USA





.png)





